II licytacja - nieruchomość rolna z zabudowaniami, działki nr 393/2, 407/3 i 407/5 o pow. 5,9100 ha - Poniatowice

O B W I E S Z C Z E N I E

 

Komornik Sądowy przy Sądzie Rejonowym w Oleśnicy Kancelaria Komornicza nr I w Oleśnicy Tomasz Chynek

zawiadamia na podstawie art. 953 kpc w związku z art. 955 kpc,

że w dniu 25-08-2023r. o godz. 09.30 w sali nr 24  Sądu Rejonowego w Oleśnicy odbędzie się:

 

D R U G A    L I C Y T A C J A

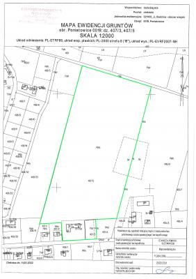
nieruchomości oznaczonej jako: nieruchomość rolna z zabudowaniami, działki nr 393/2, 407/3 i 407/5 o pow. 5,9100 ha położonej w miejscowości Poniatowice gm. Oleśnica stanowiącej własność dłużnika Rzepecki Marcin posiadająca założoną księgę wieczystą w Wydziale Ksiąg Wieczystych Sądu Rejonowego w Oleśnicy nr WR1E/00014732/5. 

Opis nieruchomości:
Nieruchomość położona w połud.części Koloni Poniatowice. Działka 393/2 o pow.0,65ha, wym.: szer.55m x głęb.135m, teren  płaski, nie posiada bezpośredniego dostępu do drogi publicznej. Nieogrodzona, niezabudowana, nieutwardzona, porośnięta zielenią. Łąki klasy III-0,16ha, lasy klasy IV-0,49ha, kompleks: użytki zielone średnie oraz lasy, gleby bielicowe i pseudobielicowe. Północna część  porośnięta lasem. Siedliskowy typ: las mieszany świeży. Działka 407/3 o pow.0,10ha, wym.: szer.24m x głęb.42m, teren płaski. Działka posiada pośredni bezpośredni dostęp do utwardzonej drogi publicznej oraz dostęp do sieci wodociągowej, elektroenergetycznej i telefonicznej w drodze, teren ogrodzony siatką handlowej rozpiętej na metalowych słupkach , niezabudowana, nieutwardzona. . Wykorzystywana była jako plac dla maszyn rolniczych oraz droga dojazdowa na tył działki 407/5. Działka 407/5 o pow. 5,16ha, kształt zbliżony do „litry T”, teren płaski. Posiada bezpośredni dostęp do utwardzonej drogi publicznej i sieci wodociągowej, elektroenergetycznej i telefonicznej w drodze. Na działce znajduje się studnia oraz bezodpływowy zbiornik na ścieki tzw. szambo. Połud. część działki w kształcie prostokąta o wym.:szer.50m x głęb.42m, teren ogrodzony, zabudowana, nieutwardzona. Większa pół. część działki wym.:szer.160m x głęb.ość 350m, nieogrodzona, niezabudowana, wykorzystywana rolniczo. Grunty orne klasy IVb-4,6633ha, grunty orne klasy V-0,2700ha. Kompleks żytni dobry, gleby brunatne właściwe. W budynku znajdują się: część mieszkalna, chlewnia, stodoła i garaż, pow. zabud. 310m2, w tym pow.zabud. części mieszkalnej 169m2. Budynek mieszkalny jednorodzinny w zabudowie zwartej, niepodpiwniczony, parterowy z poddaszem nieużytkowym (z możliwością adaptacji), w budynku pomieszczenia mieszkalne z kotłownią. Instalacje: wodno-kanalizacyjna (woda ze studni), elektryczna, ogrzewanie z kotła na opał stały z grzejnikami panelowymi. Ciepła woda podgrzewana zbiorniku od c.o. Budynek gospodarczy w zabudowie zwartej, bez podpiwniczenia, parterowy z poddaszem użytkowym (magazyn suszu). Budynek przylega do budynku mieszkalnego. Pow. użytkowa 67,8 m2. Wyposażony w instalację wodno-kanalizacyjną i elektryczną. Brak ogrzewania. Budynek gospodarczy w zabudowie zwartej, z częściowo zagłębiona piwnicą, parterowy, przylega do budynku chlewni, pow. użytk. 101,9m2. Budynek wykorzystywany jako magazyn zboża i suszu oraz skład narzędzi i urządzeń. Brak tynków, instalacja elektryczna. Przeznaczenie w MPZP Pół. część działki 393/2 : ZL/21 - tereny lasów i zadrzewień , połud. część działki 393/2 : R/28 - tereny rolnicze, pół. część działki 407/5: R/29 - tereny rolnicze, połud. część działki 407/5 i działka 407/3: MN/29 - tereny zabudowy mieszkaniowej jednorodzinnej. Dodatkowo południowa część działki 407/5 oraz działka 407/3 leżą w strefie "OW" ochrony archeologicznej.
Nieruchomość obciążona jest ograniczonym prawem rzeczowym-dożywotnią służebnością mieszkania polegającą na prawie korzystania z jednego pokoju o pow. 20m2 z używalnością części wspólnych budynku mieszkalnego na rzecz Honoraty Rzepeckiej i wpisana jest jako obciążenie w KW na całej nieruchomości. 

Nieruchomość oszacowana jest na kwotę: 758.000,00 zł, wartość ograniczonego prawa rzeczowego wynosi 90.300,00 zł Wartość nieruchomości z zaliczeniem na cenę nabycia ograniczonego prawa rzeczowego 667.700,00 zł

Cena wywoławcza w powyższej licytacji wynosi dwie trzecie wartości oszacowania tj. kwotę: 445.133,33 zł.

Przystępujący do licytacji obowiązany jest złożyć rękojmię w wysokości 10% ceny oszacowania ( tj.66.770,00 zł)

Rękojmia powinna być złożona najpóźniej w dniu poprzedzającym przetarg na konto komornika w Bank Spółdzielczy w Oleśnicy: 32 9584 0008 2001 0013 1430 0001 z podaniem syg. GKm 88/21 


Po w/w terminie wadium nie będzie przyjmowane.

Zobowiązać dłużnika do udostępnienia nieruchomości celem oględzin na dwa tygodnie przed licytacją tj. 11-08-2023r. o godz. 10.30, operat szacunkowy nieruchomości znajduje się do wglądu w kancelarii komornika.

Do licytacji mają zastosowania przepisy ustawy z dnia 11 kwietnia 2003 r. o kształtowaniu ustroju ( Dz.U. 2003 Nr 64 poz. 592 ) oraz ustawy z dnia 26 kwietnia 2019 r. o zmianie ustawy o kształtowaniu ustroju rolnego oraz niektórych innych ustaw (Dz. U. 2019 poz. 1080) W przypadku, gdy dany podmiot miałby nabyć nieruchomość w trybie postępowania egzekucyjnego Krajowy Ośrodek Wsparcia Rolnictwa (KOWR) działający na rzecz Skarbu Państwa może złożyć oświadczenie o nabyciu tej nieruchomości za zapłatą ceny tej nieruchomości (prawo nabycia) – art. 4 ust. 1 pkt 3 UKUR. Gdy w drodze licytacji w ramach postępowania egzekucyjnego nabywcą miałby być rolnik indywidualny prowadzący gospodarstwo o powierzchni poniżej 300 ha, a rolnik ten ma miejsce zamieszkania w gminie położenia nieruchomości lub gminie z nią graniczącej, KOWR nie może skorzystać ze wskazanego prawa nabycia – art. 4 ust. 4 pkt 1 UKUR.

Jednocześnie na zasadzie art. 954 § 2 kpc Komornik wzywa wszystkie strony i uczestników postępowania, aby najpóźniej w terminie licytacji zgłosiły zestawienie podatków i innych danin publicznych, należnych po dzień licytacji, pod rygorem utraty prawa dochodzenia zaległych świadczeń od nabywcy. Prawa osób trzecich nie będą przeszkodą do przeprowadzenia licytacji i przysądzenia własności na rzecz nabywcy bez zastrzeżeń, jeżeli osoby te przed rozpoczęciem przetargu nie złożą dowodu, iż wniosły powództwo o zwolnienie spod egzekucji tej nieruchomości lub innych przedmiotów razem z nią zajętych i uzyskały w tym zakresie orzeczenie wstrzymujące egzekucję. Użytkowanie, służebności i prawa dożywotnika, jeżeli nie są ujawnione w księdze wieczystej i nie zostaną zgłoszone najpóźniej na trzy dni przed rozpoczęciem licytacji, nie będą uwzględnione w dalszym toku egzekucji i wygasną z chwilą uprawomocnienia się postanowienia o przysądzeniu własności.

Zgodnie z przepisem art. 976 § 1 kpc w przetargu nie mogą uczestniczyć: dłużnik, komornik, ich małżonkowie, dzieci, rodzice i rodzeństwo oraz osoby obecne na licytacji w charakterze urzędowym, licytant, który nie wykonał warunków poprzedniej licytacji, osoby, które moga nabyć nieruchomość tylko za zezwoleniem organu państwowego, a zezwolenia tego nie przedstawiły. Zgodnie z art. 977 kpc pełnomocnictwo do udziału w przetargu powinno być stwierdzone dokumentem z podpisem urzędowo poświadczonym. Podpisy na pełnomocnictwach udzielonych przez państwowe jednostki organizacyjne lub jednostki organizacyjne samorządu terytorialnego oraz na pełnomocnictwach udzielonych adwokatom lub radcom prawnym nie wymagają poświadczenia. Poświadczenia podpisu dokonuje notariusz ( zgodnie art 96 pkt 1 ustawy z 14 lutego 1991 prawo o notariacie) Podpisy na pełnomocnictwach udzielonych przez państwowe jednostki organizacyjne lub jednostki organizacyjne samorządu terytorialnego oraz na pełnomocnictwach udzielonych adwokatom lub radcom prawnym nie wymagają poświadczenia.  Pełnomocnictwo powinno być szczególne i wyrażnie wskazywać uprawnienie do wystąpienia w roli pełnomocnika do udziału w tej licytacji - w treści pełnomocnictwa musi wyraźnie zostać określona czynność, do której pełnomocnik został umocowany (tzn. udział w konkretnym przetargu, wskazanie konkretnej nieruchomości, na czyją rzecz nieruchomość ma zostać nabyta) .
 Zgodnie z § 23 rozporzadzenia Ministra finansów z dnia 28 marca 2011 r. w sprawie zwrotu podatku niektórym podatnikom, wystawiania faktur, sposobu ich przechowywania oraz listy towarów i uslug, do których nie mają zastosowania zwolnienia od podatku od towarów i uslug (Dz. U. Nr 68, poz. 360) komornicy sadowi wykonujacy czynności egzekucyjne w rozumieniu przepisów ustawy z dnia 17 listopada 1964 r. - Kodeks postepowania cywilnego, w przypadku sprzedaży towarów, wystawiają w imieniu dłużnika i na jego rachunek faktury potwierdzające dokonanie sprzedaży tych towarów. Fakturę wystawia się, jezeli na dłużniku spoczywa obowiązek podatkowy związany ze sprzedażą towarów. 

 

 
Szczegółowych informacji udziela Komornik pod numerem telefonu 071 721 84 40 od poniedziałku do czwartku